5件
-
NEW
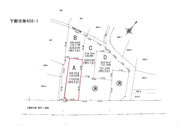
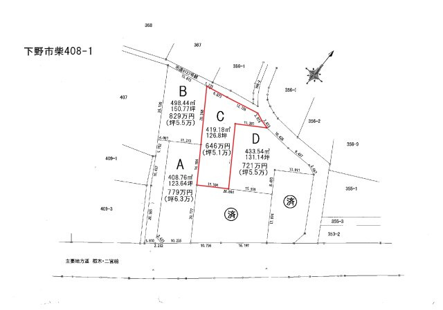
646万円
- / 419.18㎡ / -
- プロパンガス
- 個別浄化槽
多くの方からご好評頂いている下野市柴 売土地Cのご紹介です。売地をお探しの方には、こちらの売地はいかがでしょうか。お目当ての建築会社やハウスメーカーで、マイホームを建てることができる建築条件なし。イチオシの土地面積419.18㎡(公簿)の土地です。知識と経験豊富な当社スタッフが、あなたのマイホームの夢を叶えるお手伝いをいたします。ぜひあなたの住まいに求める条件をお聞かせください。ご連絡をお待ちしております。
-
NEW
721万円
- / 433.54㎡ / -
- プロパンガス
- 個別浄化槽
新生活を失敗せず、スタートさせたいならこちらの「下野市柴 売土地D」はいかがでしょうか。建築条件なしなので、土地を購入した後はお好みのタイミングで住まいが建てられます。土地の購入をお考えの方、コチラの売地をご覧ください。前面道路6m以上は確保しているので車の出し入れもラクラクです。地域の顧客満足度ナンバーワンを目指す当社が、不動産を探すお客様を全力でサポートいたします。購入手順からアフタフォローまでお任せください。お問い合わせをお待ちしております。
-
NEW
2,780万円
- / 1707.00㎡ / -
病院診療所にも適した立地で、便利でニーズも高い立地となっています。土地購入をお考えの方に好条件の売地が多数あります。駅まで徒歩13分と少し距離があります。土地面積は1707㎡(公簿)です。知識と経験豊富な当社スタッフが、あなたのマイホームの夢を叶えるお手伝いをいたします。ぜひあなたの住まいに求める条件をお聞かせください。ご連絡をお待ちしております。
-
NEW
779万円
- / 408.76㎡ / -
- プロパンガス
- 個別浄化槽
下野市柴 売土地:東北本線小金井にも近くて便利。土地購入をお考えの方、コチラの売地は環境も良くておすすめです。価格779万円の土地です。周辺環境が新しい住まいを建てるのに適している住宅用地です。大きな買い物である不動産購入を、知識豊富な当社スタッフが適切にサポート、アドバイスいたします。まずはお気軽にお問い合わせください。
幅広い方にご好評の、829万円のこちらの土地はいかがでしょうか。前面道路6m以上は確保しているので車の出し入れもラクラクです。周辺環境が充実している売地はこちらです。土地面積は498.44㎡(公簿)です。自分のライフスタイルに合う、快適な住まい探しを当社がお手伝いいたします。まずはご希望条件などをスタッフへお気軽にお聞かせください。ご連絡をお待ちしております。