NEW

下野市柴 土地

2,780万円

栃木県下野市933-1(地番)

東北本線「小金井」駅徒歩13分

東北本線「自治医大」駅徒歩46分

価格
2,780万円
坪単価
5.38万円(516.36坪)
所在地
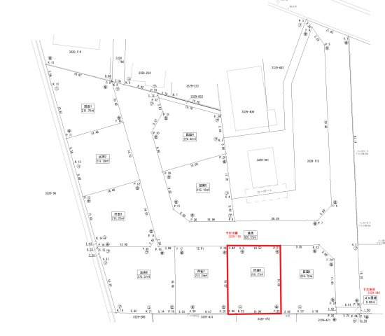
栃木県下野市933-1(地番)
交通

東北本線小金井」駅 徒歩13分

東北本線自治医大」駅 徒歩46分

土地面積(坪数)
1707.00㎡(516.36坪)
建ぺい率 / 容積率
60% / 200%

セールスポイント

工事自体も進めやすく、工事時間も短くなりやすい平坦地です。病院診療所にも適した立地で周囲の環境も充実しておりおすすめですよ。駅まで徒歩13分の場所に立地しています。こちらは間取りや建築時期などの建築条件に指定がありません。住まい探しのサポートを致します。お客様に満足していただける自信がございますので、まずは住まいに関する希望の条件等をスタッフまでお声かけください。

ポイント

平坦地 接道幅15m以上 即引渡し可 建築条件なし 土地300坪以上

担当者のコメント

溝江 裕之

病院診療所にも適した立地で、便利でニーズも高い立地となっています。土地購入をお考えの方に好条件の売地が多数あります。駅まで徒歩13分と少し距離があります。土地面積は1707㎡(公簿)です。知識と経験豊富な当社スタッフが、あなたのマイホームの夢を叶えるお手伝いをいたします。ぜひあなたの住まいに求める条件をお聞かせください。ご連絡をお待ちしております。

基本情報

販売区画数
-
総区画数
-
土地面積(坪数)
1707.00㎡(516.36坪)
坪単価
5.38万円
私道負担面積
割合
-
セットバック
建ぺい率 /
容積率
60% / 200%
高圧線下面積
-
傾斜地部分面積
-
路地状敷地
-
地目
地勢
平坦
造成工事
完了予定
-
土地権利
所有権
建築条件
都市計画
市街化調整区域
用途地域
-
接道状況
一方(東 公道 5.0m 間口 35.8m)
国土法届出要否
不要
最適用途
病院診療所用地
その他
法令上の制限
景観法/農地法届出要
取引態様
専任媒介
現況
更地
引渡条件
現況渡
引渡時期
即時
取引条件の
有効期限
2025年12月23日

設備条件

設備条件
設備(その他)
    前面道路に、上下水道管有。要引込。

その他

物件番号
84148803
管理コード
-
情報更新日
2025年12月09日
次回更新予定日
2025年12月23日
取扱会社
  • 有限会社ミネ不動産
  • 栃木県小山市城北5丁目15-11 峯ビル2F
  • TEL:0285-20-6226
  • 栃木県知事 (7) 第3885号
  • (公社)栃木県宅地建物取引業協会
    (公社)全国宅地建物取引業保証協会
    (一社)全国賃貸不動産管理業協会
    (一社)一般社団法人ハートフル
     小山商工会議所
     おもいがわ商工会
     小山東商工振興会
     下野ライオンズクラブ
     異業種交流会 三水会
     Heartful23
     栃木防衛協会
     栃木法人会
     小山市防火管理協会
備考
こだわりポイント満載の下野市柴 売土地。駅まで徒歩13分の場所に立地しています。こちらは間取りや建築時期などの建築条件に指定がありません。土地面積は1707㎡(公簿)でイチオシ。お客様第一をモットーとする当社に、不動産探しのサポートはお任せください。お客様の疑問や悩みに迅速にお応えし、住まい探しをスムーズにいたします。

周辺施設

  • 下野小金井郵便局の画像

    郵便局

    下野小金井郵便局

    692m(9分)

  • セブンイレブン 栃木小金井駅東店の画像

    コンビニエンスストア

    セブンイレブン 栃木小金井駅東店

    997m(13分)

  • HOME CENTER(ホーム センター)カンセキ 小金井店の画像

    ホームセンター

    HOME CENTER(ホーム センター)カンセキ 小金井店

    1208m(16分)

  • ウエルシア 下野小金井店の画像

    その他

    ウエルシア 下野小金井店

    1279m(16分)

  • クスリのアオキ 小金井店の画像

    ドラッグストア

    クスリのアオキ 小金井店

    1548m(20分)

支払いシミュレーション

月々の支払額
9.6
購入希望物件価格
万円
頭金
万円
金利
%
返済額(ボーナス1回分)
万円
返済期間

※ボーナスは自動で年2回分で計算されます。

近隣の物件

  1. 下野市川中子 土地⑧

    下野市川中子

    - (215.27㎡)

    1,725万円

  2. 下野市川中子 土地⑤

    下野市川中子

    - (215.10㎡)

    1,825万円

  3. 下野市川中子 土地⑥

    下野市川中子

    - (275.52㎡)

    1,665万円

  4. 下野市川中子 土地④

    下野市川中子

    - (224.40㎡)

    1,800万円

下野市柴 土地

下野市柴 土地

2,780万円

-(1707.00㎡)

お気軽にお問い合わせください

LINEからお問い合わせ 無料お問い合わせ

有限会社ミネ不動産

0285-20-6226

9:00~18:00

(休:水曜・日曜・祝日)