下野市柴 土地

2,780万円

栃木県下野市933-1(地番)

東北本線「小金井」駅徒歩13分

東北本線「自治医大」駅徒歩46分

価格
2,780万円
土地面積(坪数)
1707.00㎡(516.36坪)
所在地
栃木県下野市933-1(地番)
築年
-(-)
駐車
-
交通

東北本線小金井」駅 徒歩13分

東北本線自治医大」駅 徒歩46分

下野市柴 土地の基本情報

物件名
下野市柴 土地
価格
2,780万円
土地面積
1707.00㎡
築年月
-(-)
総区画数
-
所在地
栃木県下野市933-1(地番)
交通

東北本線小金井」駅 徒歩13分

東北本線自治医大」駅 徒歩46分

下野市柴 土地の詳細情報

設備条件
設備(その他)
    前面道路に、上下水道管有。要引込。
駐車場/月額
-/-
土地権利
所有権
国土法届出
不要
用途地域
-
区画数
- / -
管理形態
-
管理員の勤務形態
-
管理会社
-
取引態様
専任媒介
引渡し
即時
開発許可番号
-
備考
病院診療所にも適した立地で、利便性の高さを期待できる立地です。土地に接する接道が15m以上あると建築面で安心です。駅まで徒歩13分の場所に立地しています。土地の購入をお考えの方、コチラの売地をご覧ください。お客様の不動産探しを、豊富なノウハウを持ったスタッフがお手伝いいたします。下野市エリアの情報ならお任せください。お薦めの東北本線小金井周辺の情報もございます。

下野市柴 土地のコメント(おすすめポイント)

下野市柴 売土地:東北本線小金井にも近くて便利。建築の際に重要になる土地との接道幅は15m以上あります。病院診療所にも適した立地で周囲の環境も充実しておりおすすめですよ。綺麗に整備された売地ですので、面倒な手入れなど必要ありません。初めての不動産探しは不安や疑問がたくさんあるかと思います。当社の経験と知識豊富なスタッフがわかりやすく解説し、お客様の不安を解消いたします。ぜひお気軽にお問い合わせください。

下野市柴 土地で募集中の物件

  1. 516.36坪 (1707.00㎡)

    2,780万円(5.38万円/坪)

周辺施設

  • 下野小金井郵便局の画像

    郵便局

    下野小金井郵便局

    692m(9分)

  • セブンイレブン 栃木小金井駅東店の画像

    コンビニエンスストア

    セブンイレブン 栃木小金井駅東店

    997m(13分)

  • HOME CENTER(ホーム センター)カンセキ 小金井店の画像

    ホームセンター

    HOME CENTER(ホーム センター)カンセキ 小金井店

    1208m(16分)

  • ウエルシア 下野小金井店の画像

    その他

    ウエルシア 下野小金井店

    1279m(16分)

  • クスリのアオキ 小金井店の画像

    ドラッグストア

    クスリのアオキ 小金井店

    1548m(20分)

近隣の物件

  1. 下野市川中子

    - (275.52㎡)

    1,665万円

  2. 下野市川中子

    - (215.27㎡)

    1,725万円

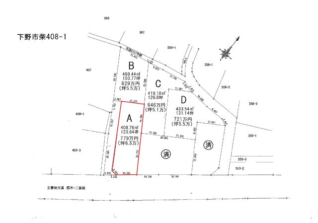
  3. 下野市柴

    - (408.76㎡)

    779万円

  4. 下野市川中子

    - (215.10㎡)

    1,825万円

よく見られている物件

  1. 小山市大字中久喜

    - (1032.00㎡)

    936万円

  2. 小山市大字中久喜

    - (846.00㎡)

    768万円

  3. 小山市大字黒本

    - (1579.12㎡)

    550万円

  4. 下野市花田

    - (5171.00㎡)

    3,200万円

下野市柴 土地

お気軽にお問い合わせください

LINEからお問い合わせ 無料お問い合わせ

有限会社ミネ不動産

0285-20-6226

9:00~18:00

(休:水曜・日曜・祝日)