NEW

下野市柴 土地C

646万円

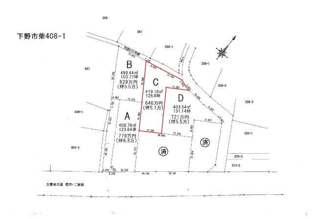
栃木県下野市408-1(地番)

東北本線「小金井」駅徒歩19分

東北本線「自治医大」駅徒歩48分

価格
646万円
坪単価
5.09万円(126.80坪)
所在地
栃木県下野市408-1(地番)
交通

東北本線小金井」駅 徒歩19分

東北本線自治医大」駅 徒歩48分

土地面積(坪数)
419.18㎡(126.80坪)
建ぺい率 / 容積率
60% / 200%

セールスポイント

こだわりで選びたい方におすすめ。下野市エリアで住まいをお探しなら「下野市柴 売土地C」。価格646万円でニーズの高い土地です。売地をお探しの方に是非見て頂きたいイチオシの土地です。土地面積は419.18㎡(公簿)です。地元の不動産のプロなら、豊富な不動産情報と地元ならではの生活情報をご案内することが可能です。ぜひ住まい探しは地元密着の当社にお任せください。

ポイント

土地100坪以上 建築条件なし 前道6m以上

担当者のコメント

溝江 裕之

多くの方からご好評頂いている下野市柴 売土地Cのご紹介です。売地をお探しの方には、こちらの売地はいかがでしょうか。お目当ての建築会社やハウスメーカーで、マイホームを建てることができる建築条件なし。イチオシの土地面積419.18㎡(公簿)の土地です。知識と経験豊富な当社スタッフが、あなたのマイホームの夢を叶えるお手伝いをいたします。ぜひあなたの住まいに求める条件をお聞かせください。ご連絡をお待ちしております。

基本情報

販売区画数
-
総区画数
-
土地面積(坪数)
419.18㎡(126.80坪)
坪単価
5.09万円
私道負担面積
割合
-
セットバック
建ぺい率 /
容積率
60% / 200%
高圧線下面積
-
傾斜地部分面積
-
路地状敷地
-
地目
地勢
-
造成工事
完了予定
-
土地権利
所有権
建築条件
都市計画
市街化調整区域
用途地域
無指定
接道状況
一方(東 公道 7.0m 間口 5.8m)
国土法届出要否
不要
最適用途
住宅用地
その他
法令上の制限
景観法/農地法届出要
取引態様
専任媒介
現況
更地
引渡条件
現況渡
引渡時期
相談
取引条件の
有効期限
2025年11月27日

設備条件

設備条件
  • プロパンガス / 公営水道 / 個別浄化槽
設備(その他)
    上水道引込要。

その他

物件番号
86165163
管理コード
-
情報更新日
2025年11月13日
次回更新予定日
2025年11月27日
備考
安心の前面道路6m以上の条件を備えております。少しでも金銭的な負担を減らすために、土地の購入価格は安く抑えましょう。こちらは646万円になります。家造りの設計やデザインなど自由にこだわることができる建築条件なしの土地です。情報量豊富な当社だから、こだわって不動産を探すお客様のご要望にお応えすることが可能です。ぜひお客様の住まい探しをお手伝いさせてください。お問い合わせをお待ちしております。

支払いシミュレーション

月々の支払額
9.6
購入希望物件価格
万円
頭金
万円
金利
%
返済額(ボーナス1回分)
万円
返済期間

※ボーナスは自動で年2回分で計算されます。

近隣の物件

  1. 下野市川中子 土地⑤

    下野市川中子

    - (215.10㎡)

    1,825万円

  2. 下野市川中子 土地⑥

    下野市川中子

    - (275.52㎡)

    1,665万円

  3. 下野市川中子 土地⑧

    下野市川中子

    - (215.27㎡)

    1,725万円

  4. 下野市川中子 土地④

    下野市川中子

    - (224.40㎡)

    1,800万円

下野市柴 土地C

下野市柴 土地C

646万円

-(419.18㎡)

お気軽にお問い合わせください

LINEからお問い合わせ 無料お問い合わせ

有限会社ミネ不動産

0285-20-6226

9:00~18:00

(休:水曜・日曜・祝日)