NEW

下野市柴 土地D

721万円

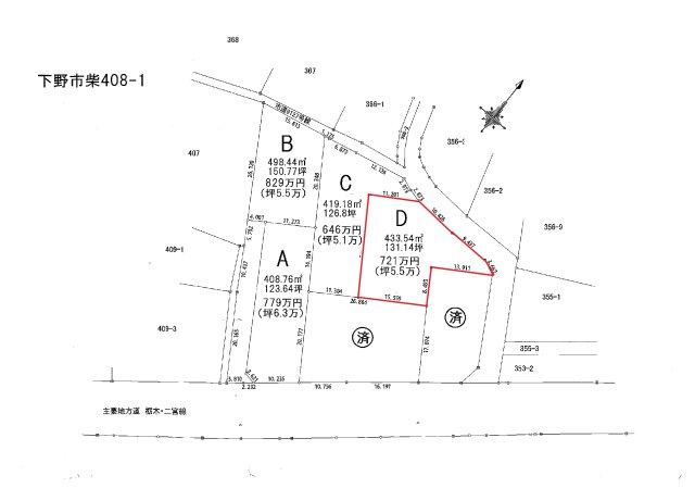
栃木県下野市408-1(地番)

東北本線「小金井」駅徒歩19分

東北本線「自治医大」駅徒歩48分

価格
721万円
坪単価
5.5万円(131.14坪)
所在地
栃木県下野市408-1(地番)
交通

東北本線小金井」駅 徒歩19分

東北本線自治医大」駅 徒歩48分

土地面積(坪数)
433.54㎡(131.14坪)
建ぺい率 / 容積率
60% / 200%

セールスポイント

マイホームをお考えの方には、こちらの住宅用地。土地面積は433.54㎡(公簿)あります。土地購入の際、売地のことなら当社にご相談ください。住みやすい空間の条件の1つに前面道路が6m以上あるところを入れてみては。当社は不動産をお探しのお客様にご納得いただけるよう、日々不動産情報収集に努めております。まずはお気軽にお問い合わせください。

ポイント

建築条件なし 土地100坪以上 接道幅15m以上 前道6m以上

担当者のコメント

溝江 裕之

新生活を失敗せず、スタートさせたいならこちらの「下野市柴 売土地D」はいかがでしょうか。建築条件なしなので、土地を購入した後はお好みのタイミングで住まいが建てられます。土地の購入をお考えの方、コチラの売地をご覧ください。前面道路6m以上は確保しているので車の出し入れもラクラクです。地域の顧客満足度ナンバーワンを目指す当社が、不動産を探すお客様を全力でサポートいたします。購入手順からアフタフォローまでお任せください。お問い合わせをお待ちしております。

基本情報

販売区画数
-
総区画数
-
土地面積(坪数)
433.54㎡(131.14坪)
坪単価
5.5万円
私道負担面積
割合
-
セットバック
建ぺい率 /
容積率
60% / 200%
高圧線下面積
-
傾斜地部分面積
-
路地状敷地
-
地目
地勢
-
造成工事
完了予定
-
土地権利
所有権
建築条件
都市計画
市街化調整区域
用途地域
無指定
接道状況
一方(東 公道 6.0m 間口 23.5m)
国土法届出要否
不要
最適用途
住宅用地
その他
法令上の制限
景観法/農地法届出要
取引態様
専任媒介
現況
更地
引渡条件
現況渡
引渡時期
相談
取引条件の
有効期限
2025年11月27日

設備条件

設備条件
  • プロパンガス / 公営水道 / 個別浄化槽
設備(その他)
    上水道引込要。

その他

物件番号
86165328
管理コード
-
情報更新日
2025年11月13日
次回更新予定日
2025年11月27日
備考
下野市柴 売土地Dの詳しい情報。土地面積は433.54㎡(公簿)あります。土地購入の際、売地のことなら当社にご相談ください。こちらは住宅用地です。自然環境や生活に必要な施設が充実していることで知られる下野市エリアの不動産探しなら、当社にお任せください。地域情報に詳しいスタッフがおりますので、周辺環境のご案内も可能です。

支払いシミュレーション

月々の支払額
9.6
購入希望物件価格
万円
頭金
万円
金利
%
返済額(ボーナス1回分)
万円
返済期間

※ボーナスは自動で年2回分で計算されます。

近隣の物件

  1. 下野市川中子 土地⑤

    下野市川中子

    - (215.10㎡)

    1,825万円

  2. 下野市川中子 土地⑥

    下野市川中子

    - (275.52㎡)

    1,665万円

  3. 下野市川中子 土地⑧

    下野市川中子

    - (215.27㎡)

    1,725万円

  4. 下野市川中子 土地④

    下野市川中子

    - (224.40㎡)

    1,800万円

下野市柴 土地D

下野市柴 土地D

721万円

-(433.54㎡)

お気軽にお問い合わせください

LINEからお問い合わせ 無料お問い合わせ

有限会社ミネ不動産

0285-20-6226

9:00~18:00

(休:水曜・日曜・祝日)