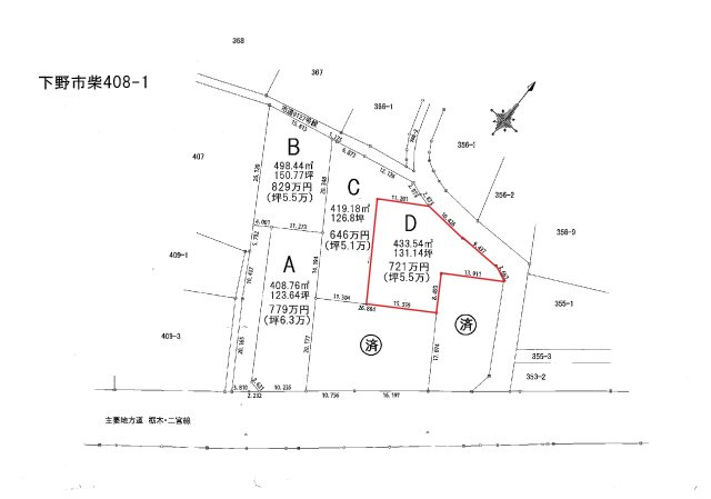
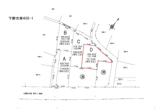
下野市柴 土地D

721万円

栃木県下野市408-1(地番)

東北本線「小金井」駅徒歩19分

東北本線「自治医大」駅徒歩48分

価格
721万円
土地面積(坪数)
433.54㎡(131.14坪)
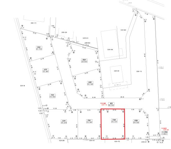
所在地
栃木県下野市408-1(地番)
築年
-(-)
駐車
-
交通

東北本線小金井」駅 徒歩19分

東北本線自治医大」駅 徒歩48分

下野市柴 土地Dの基本情報

物件名
下野市柴 土地D
価格
721万円
土地面積
433.54㎡
築年月
-(-)
総区画数
-
所在地
栃木県下野市408-1(地番)
交通

東北本線小金井」駅 徒歩19分

東北本線自治医大」駅 徒歩48分

下野市柴 土地Dの詳細情報

設備条件
設備(その他)
    上水道引込要。
駐車場/月額
-/-
土地権利
所有権
国土法届出
不要
用途地域
無指定
区画数
- / -
管理形態
-
管理員の勤務形態
-
管理会社
-
取引態様
専任媒介
引渡し
相談
開発許可番号
-
備考
こちらは間取りや建築時期などの建築条件に指定がありません。こちらの土地は前面道路6m以上です。周辺環境が充実している在宅用地です。土地面積は433.54㎡(公簿)で一押しです。不動産探しの前に不動産の知識について教えて欲しい、といったご要望にもお応えしております。どのような些細なことでも、疑問・質問があればぜひお気軽にお問い合わせください。

下野市柴 土地Dのコメント(おすすめポイント)

こだわりポイント満載の下野市柴 売土地D。周辺環境が充実している在宅用地です。売地をお探しの方にぴったりの土地がこちらです。土地面積は433.54㎡(公簿)となっています。不動産探しなら、信頼と実績の当社にぜひお任せください。知識豊富なスタッフが親切丁寧にお客様をサポートし、不動産探しをスムーズにいたします。お気軽にお問い合わせください。

下野市柴 土地Dで募集中の物件

  1. 131.14坪 (433.54㎡)

    721万円(5.5万円/坪)

近隣の物件

  1. 下野市川中子

    - (275.52㎡)

    1,665万円

  2. 下野市川中子

    - (215.27㎡)

    1,725万円

  3. 下野市柴

    - (1707.00㎡)

    2,780万円

  4. 下野市川中子

    - (215.10㎡)

    1,825万円

よく見られている物件

  1. 小山市大字中久喜

    - (1032.00㎡)

    936万円

  2. 小山市大字中久喜

    - (846.00㎡)

    768万円

  3. 小山市大字黒本

    - (1579.12㎡)

    550万円

  4. 下野市花田

    - (5171.00㎡)

    3,200万円

下野市柴 土地D

お気軽にお問い合わせください

LINEからお問い合わせ 無料お問い合わせ

有限会社ミネ不動産

0285-20-6226

9:00~18:00

(休:水曜・日曜・祝日)