下野市柴 土地B

829万円

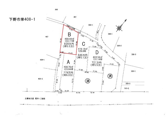
栃木県下野市408-1(地番)

東北本線「小金井」駅徒歩19分

東北本線「自治医大」駅徒歩48分

価格
829万円
土地面積(坪数)
498.44㎡(150.77坪)
所在地
栃木県下野市408-1(地番)
築年
-(-)
駐車
-
交通

東北本線小金井」駅 徒歩19分

東北本線自治医大」駅 徒歩48分

下野市柴 土地Bの基本情報

物件名
下野市柴 土地B
価格
829万円
土地面積
498.44㎡
築年月
-(-)
総区画数
-
所在地
栃木県下野市408-1(地番)
交通

東北本線小金井」駅 徒歩19分

東北本線自治医大」駅 徒歩48分

下野市柴 土地Bの詳細情報

設備条件
設備(その他)
    上水道引込要。
駐車場/月額
-/-
土地権利
所有権
国土法届出
不要
用途地域
無指定
区画数
- / -
管理形態
-
管理員の勤務形態
-
管理会社
-
取引態様
専任媒介
引渡し
相談
開発許可番号
-
備考
多くの方からご好評頂いている下野市柴 売土地Bのご紹介です。広さの心配がいらない土地面積498.44㎡(公簿)。安心の前面道路6m以上の条件を備えております。コチラは売地の情報となっています。土地購入をお考えの方は是非。地元密着の当社にはお薦めの不動産情報が多数ございます。ぜひお気軽にお問い合わせいただき、お客様のご希望条件をお聞かせください。

下野市柴 土地Bのコメント(おすすめポイント)

下野市柴 売土地B:東北本線小金井にも近くて便利。安心の前面道路6m以上の条件を備えております。周辺環境が充実している在宅用地です。お目当ての建築会社やハウスメーカーで、マイホームを建てることができる建築条件なし。下野市エリアの住環境について、地域を知り尽くしているスタッフが適切にご案内いたします。不動産探しのことなら、どのようなことでもお気軽にお問い合わせください。

下野市柴 土地Bで募集中の物件

  1. 150.77坪 (498.44㎡)

    829万円(5.5万円/坪)

近隣の物件

  1. 下野市川中子

    - (275.52㎡)

    1,665万円

  2. 下野市川中子

    - (215.27㎡)

    1,725万円

  3. 下野市柴

    - (1707.00㎡)

    2,780万円

  4. 下野市川中子

    - (215.10㎡)

    1,825万円

よく見られている物件

  1. 小山市大字中久喜

    - (1032.00㎡)

    936万円

  2. 小山市大字中久喜

    - (846.00㎡)

    768万円

  3. 小山市大字黒本

    - (1579.12㎡)

    550万円

  4. 下野市花田

    - (5171.00㎡)

    3,200万円

下野市柴 土地B

お気軽にお問い合わせください

LINEからお問い合わせ 無料お問い合わせ

有限会社ミネ不動産

0285-20-6226

9:00~18:00

(休:水曜・日曜・祝日)