NEW

下野市川中子 土地⑦

2月18日 値下げ

1,710万円

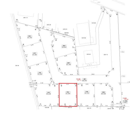
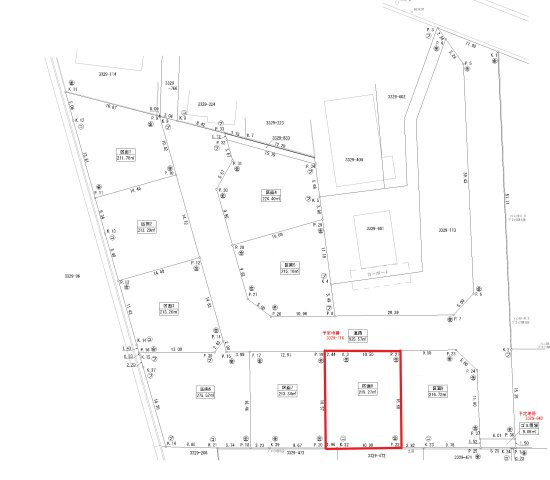
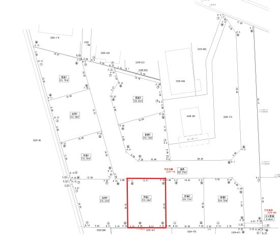
栃木県下野市川中子3329-116

東北本線「小金井」駅徒歩9分

東北本線「自治医大」駅徒歩44分

価格
1,710万円
坪単価
26.5万円(64.53坪)
所在地
栃木県下野市川中子3329-116
交通

東北本線小金井」駅 徒歩9分

東北本線自治医大」駅 徒歩44分

土地面積(坪数)
213.34㎡(64.53坪)
建ぺい率 / 容積率
60% / 200%

セールスポイント

こだわりポイント満載の下野市川中子 売土地⑦。土地面積は213.34㎡(公簿)でイチオシ。綺麗に整備された売地ですので、面倒な手入れなど必要ありません。駅から徒歩9分圏内に立地しています。

ポイント

即引渡し可 前道6m以上 駅徒歩10分以内 平坦地 土地60坪以上

担当者のコメント

溝江 裕之

地元に精通するスタッフの揃う当社は、不動産情報の鮮度と濃さが違います。お客様の不動産探しを、ぜひ当社にお手伝いさせてください。ご連絡をお待ちしております。

基本情報

販売区画数
-
総区画数
-
土地面積(坪数)
213.34㎡(64.53坪)
坪単価
26.5万円
私道負担面積
割合
-
セットバック
建ぺい率 /
容積率
60% / 200%
高圧線下面積
-
傾斜地部分面積
-
路地状敷地
-
地目
宅地
地勢
平坦
造成工事
完了予定
-
土地権利
所有権
建築条件
-
都市計画
市街化区域
用途地域
第一種住居
接道状況
一方(北 公道 6.0m 間口 12.9m)
国土法届出要否
不要
最適用途
-
その他
法令上の制限
-
取引態様
その他
現況
更地
引渡条件
現況渡
引渡時期
即時
取引条件の
有効期限
2025年11月27日

設備条件

設備条件
  • プロパンガス / 公営水道 / 公共下水
設備(その他)
    -

その他

物件番号
88943850
管理コード
-
情報更新日
2025年11月13日
次回更新予定日
2025年11月27日
備考
【小学校区】国分寺東小学校
【中学校区】国分寺中学校

・外構ブロック、フェンスは土地価格に含まれております
・建築をする区画によりJR東日本との協議があります。
・区画により電柱の設置有(電柱敷地料1,500円/年)
・司法書士は売主指定となります。
・販売する仲介業者は売主指定の不動産業者となります。

周辺施設

  • 不二家 小金井店の画像

    スイーツ

    不二家 小金井店

    531m(7分)

  • マツモトキヨシ下野小金井店の画像

    その他

    マツモトキヨシ下野小金井店

    581m(8分)

  • HOME CENTER(ホーム センター)カンセキ 小金井店の画像

    ホームセンター

    HOME CENTER(ホーム センター)カンセキ 小金井店

    604m(8分)

  • ファミリーマート 国分寺川中子店の画像

    コンビニエンスストア

    ファミリーマート 国分寺川中子店

    864m(11分)

  • クスリのアオキ 小金井店の画像

    ドラッグストア

    クスリのアオキ 小金井店

    944m(12分)

支払いシミュレーション

月々の支払額
9.6
購入希望物件価格
万円
頭金
万円
金利
%
返済額(ボーナス1回分)
万円
返済期間

※ボーナスは自動で年2回分で計算されます。

近隣の物件

  1. 下野市川中子 土地⑤

    下野市川中子

    - (215.10㎡)

    1,825万円

  2. 下野市川中子 土地⑥

    下野市川中子

    - (275.52㎡)

    1,665万円

  3. 下野市川中子 土地⑧

    下野市川中子

    - (215.27㎡)

    1,725万円

  4. 下野市川中子 土地④

    下野市川中子

    - (224.40㎡)

    1,800万円

下野市川中子 土地⑦

下野市川中子 土地⑦

1,710万円

-(213.34㎡)

お気軽にお問い合わせください

LINEからお問い合わせ 無料お問い合わせ

有限会社ミネ不動産

0285-20-6226

9:00~18:00

(休:水曜・日曜・祝日)