下野市川中子 土地⑧

1,725万円

栃木県下野市川中子3329-116

東北本線「小金井」駅徒歩9分

東北本線「自治医大」駅徒歩44分

価格
1,725万円
坪単価
26.49万円(65.11坪)
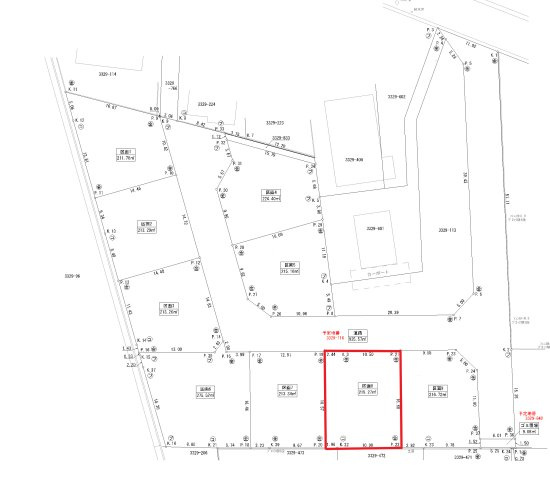
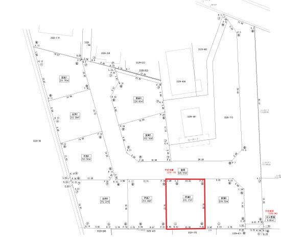
所在地
栃木県下野市川中子3329-116
交通

東北本線小金井」駅 徒歩9分

東北本線自治医大」駅 徒歩44分

土地面積(坪数)
215.27㎡(65.11坪)
建ぺい率 / 容積率
60% / 200%

セールスポイント

立地する第一種住居地域は、大規模の工場、映画館のような人が集まる娯楽施設の建築が禁止されている地域です。駅から徒歩9分圏内に立地しています。土地面積は215.27㎡(公簿)です。建築プランの自由度が高い、平坦な地勢です。

ポイント

即引渡し可 前道6m以上 駅徒歩10分以内 平坦地 土地60坪以上

担当者のコメント

木村 幸代

地元に精通するスタッフの揃う当社は、不動産情報の鮮度と濃さが違います。お客様の不動産探しを、ぜひ当社にお手伝いさせてください。ご連絡をお待ちしております。

基本情報

販売区画数
-
総区画数
-
土地面積(坪数)
215.27㎡(65.11坪)
坪単価
26.49万円
私道負担面積
割合
-
セットバック
建ぺい率 /
容積率
60% / 200%
高圧線下面積
-
傾斜地部分面積
-
路地状敷地
-
地目
宅地
地勢
平坦
造成工事
完了予定
-
土地権利
所有権
建築条件
-
都市計画
市街化区域
用途地域
第一種住居
接道状況
一方(北 公道 6.0m 間口 12.9m)
国土法届出要否
不要
最適用途
-
その他
法令上の制限
-
取引態様
一般媒介
現況
更地
引渡条件
現況渡
引渡時期
即時
開発許可番号
-
取引条件の
有効期限
2026年03月16日

設備条件

設備条件
  • プロパンガス / 公営水道 / 公共下水
設備(その他)
    -

その他

物件番号
88944230
管理コード
-
情報更新日
2026年03月02日
次回更新予定日
2026年03月16日
取扱会社
  • 有限会社ミネ不動産
  • 栃木県小山市城北5丁目15-11 峯ビル2F
  • TEL:0285-20-6226
  • 栃木県知事 (7) 第3885号
  • (公社)栃木県宅地建物取引業協会
    (公社)全国宅地建物取引業保証協会
    (一社)全国賃貸不動産管理業協会
    (一社)一般社団法人ハートフル
     小山商工会議所
     おもいがわ商工会
     小山東商工振興会
     下野ライオンズクラブ
     異業種交流会 三水会
     Heartful23
     栃木防衛協会
     栃木法人会
     小山市防火管理協会
備考
【小学校区】国分寺東小学校
【中学校区】国分寺中学校

・外構ブロック、フェンスは土地価格に含まれております
・建築をする区画によりJR東日本との協議があります。
・区画により電柱の設置有(電柱敷地料1,500円/年)
・司法書士は売主指定となります。
・販売する仲介業者は売主指定の不動産業者となります。

周辺施設

  • 不二家 小金井店の画像

    スイーツ

    不二家 小金井店

    531m(7分)

  • マツモトキヨシ下野小金井店の画像

    その他

    マツモトキヨシ下野小金井店

    581m(8分)

  • HOME CENTER(ホーム センター)カンセキ 小金井店の画像

    ホームセンター

    HOME CENTER(ホーム センター)カンセキ 小金井店

    604m(8分)

  • ファミリーマート 国分寺川中子店の画像

    コンビニエンスストア

    ファミリーマート 国分寺川中子店

    864m(11分)

  • クスリのアオキ 小金井店の画像

    ドラッグストア

    クスリのアオキ 小金井店

    944m(12分)

支払いシミュレーション

月々の支払額
購入希望物件価格
万円
頭金
万円
金利
%
返済額(ボーナス1回分)
万円
返済期間

※ボーナスは自動で年2回分で計算されます。

近隣の物件

  1. 下野市川中子 土地⑤

    下野市川中子

    - (215.10㎡)

    1,825万円

  2. 下野市川中子 土地⑥

    下野市川中子

    - (275.52㎡)

    1,665万円

  3. 下野市柴 土地

    下野市柴

    - (1707.00㎡)

    2,780万円

  4. 下野市川中子 土地④

    下野市川中子

    - (224.40㎡)

    1,800万円

よく見られている物件

  1. 小山市中久喜 土地

    小山市大字中久喜

    - (1032.00㎡)

    936万円

  2. 小山市中久喜 土地

    小山市大字中久喜

    - (846.00㎡)

    768万円

  3. 小山市黒本 土地

    小山市大字黒本

    - (1579.12㎡)

    550万円

  4. 下野市花田 土地

    下野市花田

    - (5171.00㎡)

    3,200万円

下野市川中子 土地⑧

下野市川中子 土地⑧

1,725万円

-(215.27㎡)

お気軽にお問い合わせください

LINEからお問い合わせ 無料お問い合わせ

有限会社ミネ不動産

0285-20-6226

9:00~18:00

(休:水曜・日曜・祝日)